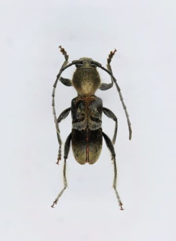
ケブカトラカミキリ確認 筑波大調査 茨城県内初 生け垣食害、対策急務 神栖で成虫発見 庭木としてよく植えられるイヌマキなどを食害する国内外来種「ケブカトラカミキリ」が茨城県内にも生息して... 茨城新聞クロスアイ | Fri, 09 Jan 2026 09:20:37 +0900 もっとよむ Pick Up 2025年12月18日 「ラブラビット × 選べるニュース」のLINEスタンプを無料でGET! チバテレ+プラス ライフ 2024年03月07日 【新商品!】チュバチュバワンダーランドに新たなグッズが登場★ チバテレ+プラス ライフ
関連記事 2026年01月11日 あすの成人の日にかけ大荒れの見込み…西~北日本の広範囲で 交通障害に警戒 日テレNEWS NNN NEW ニュース 2026年01月11日 今季最強寒気 成人の日(12日・月)にかけて大雪・猛吹雪による交通障害などに警戒 ウェザーマップ NEW ニュース 2026年01月11日 EU、イランのデモ弾圧を非難 拘束者釈放要求 共同通信 NEW ニュース 2026年01月11日 米国、シリア衝突で自制要求 特使が暫定大統領らと会談 共同通信 NEW ニュース
新着ニュース 2026年01月11日 「バイク選びの参考になる!」セロー250FINAL EDITION(2020) 試乗レビュー WEBヤングマシン NEW ライフ 2026年01月11日 【WBC】岡本和真ブルージェイズの〝挑発動画〟が火種に ドジャース大谷&山本とギクシャク!? 東スポWEB NEW エンタメ 2026年01月11日 【巨人】岡本和真の〝後釜〟問題 チーム内から2年目・石塚裕惺を推す声「もう、なるしかないと思う」 東スポWEB NEW エンタメ 2026年01月11日 元キスマイ北山宏光が〝蜜月〟テレ東4月期ドラマに出演へ 制作から重宝されるワケ 東スポWEB NEW エンタメ