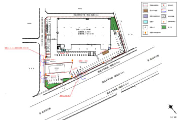
コメリ/富山県高岡市に「コメリPRO高岡店」来年6/7新設 コメリは10月6日、大規模小売店舗立地法による新設の届出を行った。 <建物配置図> 2026年6月7... 流通ニュース | Tue, 28 Oct 2025 13:26:13 +0900 もっとよむ Pick Up 2025年10月09日 「ちみたん× 選べるニュース」のLINEスタンプを無料でGET! チバテレ+プラス ライフ 2024年03月07日 【新商品!】チュバチュバワンダーランドに新たなグッズが登場★ チバテレ+プラス ライフ
関連記事 2025年10月28日 2種の主食メニューを一皿で ローソン「よくばりセットメシ」新商品を発売 DCSオンライン NEW ビジネス 2025年10月28日 H3ロケット打ち上げ成功が、三菱重工や防衛・宇宙産業にもたらす恩恵は? 財経新聞 NEW ビジネス 2025年10月28日 ボスママの圧力に震えるハロウィンパーティー…同調圧力の中、勇気を振り絞った手作り衣装が起こした奇跡 Finasee NEW ビジネス 2025年10月28日 M&Aが本格化、大企業の24.1%が「買収を検討」 仲介業者からのアプローチは、企業の8割超が経験 東京商工リサーチ(TSR) NEW ビジネス
新着ニュース 2025年10月29日 青森山田、歴史的敗戦からの再出発 正木監督「もうあの経験はしたくない」 高校サッカードットコム NEW スポーツ 2025年10月29日 エリート女子GKキャンプU-16参加メンバーが発表 高校サッカードットコム NEW スポーツ 2025年10月29日 沖縄4強が来月1日に激突 連覇を狙う那覇西は西原と争う 高校サッカードットコム NEW スポーツ 2025年10月29日 【トラヤ東京】見た目も味も最高!秋限定ランチ・スイーツとインド更紗展 シティリビングWeb NEW ライフ